Negozio in vendita a Como

In vendita
Como - Via Repubblica Romana
1.060.000 €
Negozio
Categoria
440
m2
3
Locali
Descrizione
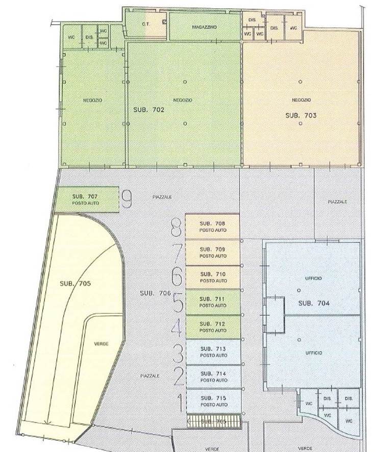
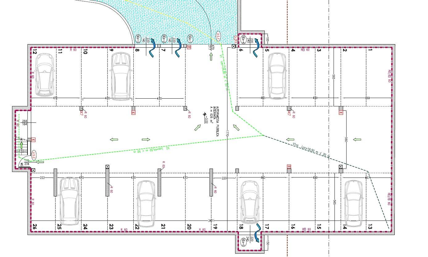
Spazio Commerciale Strategico – Como Camerlata. Posizione Ottima e Logistica d'Eccellenza. Situata nel cuore pulsante di Como Camerlata, a pochissimi passi dalla stazione ferroviaria (snodo fondamentale per i collegamenti con Milano, la Svizzera e il centro città) e in posizione estremamente comoda per l'accesso all'autostrada A9 (Como-Laghi). Questa proprietà rappresenta un'opportunità rara per chi cerca massima visibilità e facilità di raggiungimento in una delle zone commerciali più dinamiche di Como. Caratteristiche Principali dell'Immobile: Superficie Commerciale: 440 mq open space, caratterizzati da una straordinaria luminosità naturale grazie alle ampie vetrate fronte piazzale privato che accede direttamente alla strada. Modularità e Flessibilità: L'ampia metratura è già predisposta per essere suddivisa in tre lotti indipendenti, ognuno dotato di proprio ingresso e vetrina dedicata, ideale per frazionamenti o attività multi-settore. Stato Conservativo: L'immobile è in ottime condizioni, pronto per essere operativo immediatamente senza necessità di interventi strutturali. Parcheggio e Pertinenze: 6 posti auto privati ad uso esclusivo per clienti o personale. Piano Seminterrato di 611 mq: Ampio spazio di proprietà adibito a 24 posti auto coperti, un plus inestimabile in una zona ad alta densità di traffico. Punti di Forza Strategici Zona ad alto passaggio: Posizionamento in un'area di forte transito veicolare e pedonale. Hub logistico: La vicinanza alla stazione di interscambio e all'autostrada garantisce collegamenti rapidi per dipendenti e fornitori. Versatilità: Perfetto per showroom, uffici direzionali, centri medici o retail su larga scala. A chi potrebbe essere utile questa proprietà? Grazie alla sua conformazione e alla dotazione eccezionale di parcheggi, questo immobile è la soluzione ideale per: Studi Professionali Associati o Coworking: La possibilità di suddividere lo spazio in tre lotti lo rende perfetto per grossi studi legali, notarili o di architettura che necessitano di aree separate ma comunicanti, con ampia disponibilità di sosta per i clienti. Centri Medici o Poliambulatori: La struttura open si presta a una facile compartimentazione per ambulatori, mentre i 24 posti auto coperti risolvono il problema critico del parcheggio per i pazienti. Showroom di Arredamento o Design: Data la vicinanza alla Svizzera e all'autostrada, è una vetrina di prestigio per aziende che vogliono intercettare la clientela internazionale e del bacino comasco. Sedi Corporate e Uffici Direzionali: Per aziende che necessitano di una sede di rappresentanza facilmente raggiungibile dai pendolari (treno) e dai dirigenti (autostrada A9). Investitori Immobiliari: La predisposizione al frazionamento in tre unità indipendenti permette di mettere a reddito i singoli lotti separatamente, massimizzando il rendimento locativo e diversificando il rischio.
Caratteristiche principali
Codice:
V001443
Città:
Como
Categoria:
Negozio
Locali:
3
Mq:
440
Classe energetica:
G
Mappa
Cookie preference